![]() |
| 空港放水路 | 大正川 | 大正川関連飛行場南水路 |
| 駒川 | 今川 | 平野川分水路 |
| 平野川筋探訪 |
![]() |
| 八尾空港北壕は空港北端を取り巻くように田井中4丁目から木の本3丁目に至る全長2100mで八尾市及び周辺地域の豪雨時の河川や下水の溢水を貯留する調節池である。土地の人の話では昭和初期頃までは「沢の川」と呼ぶ小河川がここに存在していたという。空港の建設で「沢の川」が埋め立てられ近年になり八尾空港北壕が開鑿されたと聞く、この八尾空港北壕は一級河川で豪雨時の周辺河川や下水の溢水をここに一時貯水する治水河川です。 |
![]() |
![]() |
![]() |
![]() |
![]() |
| 八尾空港北端を平野川と空港北濠が平行して西へ流路をとり途中上中写真のような越流堤もあり平野川の溢水が空港北濠に流れ込む様になっており平時の北壕は緑地公園になっていますが現在は立ち入れない様で人影はありません。 |
![]() |
![]() |
![]() |
![]() |
![]() |
| 八尾空港北濠の西端は179号線の木の本3丁目で179号線を越えると地下鉄谷町線の車庫と八尾南駅になります |
![]() |
| 空港放水路は八尾市南木の本5丁目の八尾空港北濠から八尾市南太子堂5丁目で平野川に流入する全長1683mの準用河川で途中流路の一部が大阪市平野区長吉六反地域を通っています。また、流路である南木の本には西暦587年の蘇我氏と物部氏が争った時、物部守屋が稲を積んだ砦を築き戦ったといわれる古戦場跡があり、物部守屋が勧請したという樟本神社もあり珍しく三座に分かれて南、北木の本に鎮座する神社です。その一座の中に日羅禅寺がある。この禅寺は守屋の没後に建てられたものとの説明が寺の縁起書に書かれています。 |
![]() |
![]() |
![]() |
![]() |
| 上左 写真八尾市南木の本5丁目の八尾空港北濠の空港放水路への分岐所。 右 空港北濠から空港放水路への排水。上右地図のように途中一部大阪市平野区長吉六反を通り八尾市南太子堂で平野川に排水しています。 |
![]() |
![]() |
![]() |
![]() |
![]() |
![]() |
![]() |
| 樟本神社(木の本1丁目) | 樟本神社境内の日羅禅寺 | 上写真をクリックで拡大します。 |
![]() |
![]() |
![]() |
| 樟本神社(木の本1丁目) | 本殿 | 境内の大樟 |
![]() |
![]() |
![]() |
| 樟本神社(北木の本) | 拝殿 | 本殿 |
![]() |
![]() |
| 南木の本7にある物部守屋の稲城跡で「日本書記」 の記述によると物部守屋は、ここに子弟と奴の兵士達を率いて、稲を積んだ砦を築き守屋は榎の木股に登って弓矢で蘇我・厩戸皇子等の軍勢を防ぎ戦ったが敗れて物部氏は滅亡したといわれる。 |
![]() |
| 大正川とは八尾市南亀井町4の平野川合流地点から大阪市平野区長吉六反・川辺3を経て再び八尾市太田新町1に入り八尾空港南地区を東へ太田七丁目交差点で左折、外環状線(170号線)の柏原高前までしか追跡調査出来なかったが、それ以遠は小溝になり幾筋かに分かれたりして最終的には柏原市古町付近の平野川に接続しているようです。正式名は用排水路(法定外公共物)大正川で法定外公共物とは道路法や河川法が適用される道路や河川などの公共物を法定公共物というのに対し、農業用水路等の法律が適用されない公共物を指すそうです。また、八尾に「大正」という地名が無いのに何故この川が「大正川」なのか疑問に思い調べたところ1889年(明治22)の市町村制施行で この地域の木本・南木本・北木本の三村が合併して三木本村が誕生、この時隣接する丹北郡太田村、志紀郡太田村、沼村が合併して太田村が誕生。1913年(大正2)に三木本・太田の二村が合併して「大正村」に改称されています。1934年(昭和9)に大正村南木本から太田地区が飛行場建設地域となり分断されて、1948年(昭和23)に八尾町・竜華町・久宝寺村・西郡村・大正村の二町三村が合併して八尾市が誕生しています。大正村は1913年(大正2)から1948年(昭和23)の僅か14年間存在したのみでしたが、この間に村内の主要灌漑水路を大正川と呼称する様になったのではないしょうか? 「大正」の地名は存続していませんが太田三丁目に八尾市役所大正出張所と大正小学校大正住宅等があります。大正村当時は広々とした田園風景の広がる農村地帯であったのでしょうが、今では当時の地形や環境をとても想像しがたい都市型市域に変貌するとともに、かっては清流であったであろうと思われる大正川も今では汚染した下水溝のようになっています。取り敢えず平野川合流地点から上流に向かって現代の大正川を四年ぶりに探索してみました。 |
![]() |
![]() |
![]() |
![]() |
![]() |
| 上写真左は2010年撮影、右は2014年撮影の大正川が平野川に合流する八尾市南亀井町4地点です。左が大正川で右はの流路は取り敢えずa水路としました。大正川は以前より水質は少し良くなっていました。a流路も白濁液の流失は無かったものの水質汚染は以前と変わらなかった。下写真三枚は2010~2012年に撮影したもので以下に使用する旧写真は全て同年代のものです。平野川合流地点から南へ右端写真の大阪市平野区西六反橋まで約300mが八尾市跡部南の町になる。平野区長吉六反から南は写真のように当時工事中だったが、今は完成していて川は暗渠化され公園風の遊歩道が長吉六反の深田橋まで約600mほど続きます。下写真参照。 |
| a水路 |
| a水路は大阪市域で大正川から分かれ平野川への排水地点への流路ですが大阪市域は暗渠化されて大正川からの分岐点は確認出来ず、最下段の写真3枚が大阪市長吉出戸7で中の3枚は八尾市側になります。上左は平野川への排水門の内側になります。 |
![]() |
![]() |
![]() |
![]() |
![]() |
![]() |
![]() |
![]() |
![]() |
![]() |
![]() |
![]() |
|
| 大阪市平野区と隣接する八尾市は旧石器時代から近世に至る複合遺跡の町として知られ現代も発掘調査が進められている古代遺跡の街です。大正川流路の大阪市側でも大正川の暗渠化に伴い発掘調査が行われ出土した石器類を展示しているのですが、ご覧の様に非常に見にくく、展示に一工夫していただきたいものです。 |
![]() |
![]() |
![]() |
![]() |
![]() |
![]() |
![]() |
![]() |
![]() |
![]() |
![]() |
![]() |
![]() |
| 大阪市平野区長吉長原の長吉南小学校横の大正川へ流入する流路(上写真左・地図矢印)があり平常は一筋の溝で降雨時の貯水池の様です。 |
![]() |
![]() |
![]() |
![]() |
![]() |
![]() |
![]() |
![]() |
![]() |
![]() |
![]() |
![]() |
![]() |
![]() |
![]() |
![]() |
![]() |
![]() |
![]() |
![]() |
![]() |
![]() |
![]() |
![]() |
![]() |
![]() |
|
![]() |
![]() |
![]() |
![]() |
![]() |
![]() |
![]() |
![]() |
![]() |
![]() |
![]() |
![]() |
![]() |
![]() |
![]() |
![]() |
![]() |
![]() |
![]() |
![]() |
![]() |
八尾市太田七丁目付近の大正川約1㎞区間に「魚の泳ぐ大正川をつくる会」というボランテイァの会が結成されていて大正川の浄化活動に取組んでおられるとの情報をいただき柏原市古町の靑地井手口土地改良区の米沢氏の案内で10月下旬に訪れました。左記の様な作業日程のもとに月2回会員の方々が松井会長を中心に和気靄々と作業をしておられました。上旬には川中の清掃をされたそうで、この日は川沿いに「サツキ」の苗を植える作業をしておられました。このような活動が大正川全域に広がれば「魚の泳ぐ大正川」も実現不可能ではないでしょうが、先ずこの最上流の区間だけでも是非「魚の泳ぐ大正川」を是非実現させていただきたいものです。 2010年に訪れた時から見れば太田橋~太田七丁目の間のポイ捨てゴミも少なくなっており地域住民の方々と行政の協力があれば大正川の浄化も夢ではなくなります。 |
![]() |
![]() |
![]() |
![]() |
![]() |
![]() |
![]() |
![]() |
![]() |
![]() |
![]() |
![]() |
![]() |
![]() |
![]() |
近世以前の今川は狭山西除川から取水する用排水路であったのですが(1704)宝永元年の大和川付替により、今川も水源を断たれ以後は新大和川や畑川筋から喜連西池へ配水に頼り沿岸の灌漑排水路として細々と存続してきましたが、戦後は食料増産の為、沿岸農家の要望により今川の用排水改良事業が行われましたが、高 |
![]() |
| 度成長時代に入ると今川沿岸も急速に住宅化の波が押し寄せ灌漑用排水河川から都市河川に変化し降雨時には流域に浸水被害が頻発し出した為、昭和45年には従来の普通河川から一級河川として改修工事に着手、治水河川として整備されてきました。 天平勝宝8年当時河内国伎人郷に一時居住していた馬国人が大伴家持を招き開いた歌宴で披露した国人の詠み歌『にほ鳥の息長川は絶えぬとも君に語らむ言尽きめやも』(万葉集巻20ー4458)に詠まれた『息長川』が今川であるとする説が一時定説になっていましたが、八世紀当時の現平野区周辺の地形や環境から見て、また、古代豪族の息長氏と喜連の関連性史料もなく、歴史的にも「今川=息長川」説の立証は難しいようですが当地では平野川・東除川・西除川につぎ歴史有る河川であることは事実ですが奈良時代に今川が存在したか否か、また、今川が自然河川か開鑿された人工水路かも史料がなく不明です。 |
![]() |
![]() |
| 現在の今川は大阪市東住吉区湯里6の上写真の吐水口を起点として平野区と東住吉区の境界を北流し今里筋以北は東住吉区域を北流し平野川への合流地点まで(吐水口~生野区林寺6)の全長約4.5㎞を流れる一級河川で平野下水処理場からの2次処理された水を毎分10屯供給され流路を保っています。 今夏一年ぶりに今川吐水口~平等橋まで散策して、一年前からすっかり変わった、川沿いや川の風景に驚きました。下の2013年撮影の写真の様に今川吐水口~湯里東まで目に余る蛮行の数々でしたが、市建設局と流域連合町会の方々の努力で、すっかり変わった今川を目前にして、この状態が何時までも続いて欲しいと切望します。 |
![]() |
![]() |
![]() |
![]() |
![]() |
![]() |
![]() |
![]() |
![]() |
![]() |
| 鯉や小魚に餌をやる人達多い日には数十人にもなる。 | 今川沿いの遊歩道を毎日清掃するボラティアのおじさん。 |
![]() |
![]() |
![]() |
![]() |
![]() |
![]() |
| 上写真の様に川沿いの安全柵は至るところで毀され川はゴミ捨て場と化していた今川上流でしたが柵も修復されゴミのポイ捨ても最近は少なくなり、鯉も放流され小魚も驚くほど多くなり野鳥の飛来も多くトンボが飛び交い今では市民の憩いの場となりました。 |
![]() |
![]() |
![]() |
![]() |
![]() |
![]() |
![]() |
![]() |
![]() |
| 今川にも自然が回復すると野鳥やトンボの訪れも多くなり川には、この時期鯉の稚魚や保育園児の放流した小魚が多く、それを狙って「川鵜」の飛来もあり付近民家に糞害をもたらし悩みの種になっているとか。 写真左の餌やりの方からは外来種の亀がふえて日本種の亀が駆逐されている、外来種の亀の産卵時期には見つけ次第卵を踏みつぶしている、鯉が盗難に遭っているのでは?といった話もされていました。 写真右のおじさんは「川鵜」が根こそぎ稚魚を食い荒らすのを防ぐため毎朝4時間ほど「川鵜」を追い払うため監視しているそうで、隙を見て川に降りてくる「川鵜」を防いでいますが相手は飛ぶ鳥なので追われると上流へ下流へと移動するので右写真の矢印の様にその都度、自転車で駆けつけ追い払っていました。稚魚の数が多いのである程度は自然淘汰されても致し方ないのですが、おじさんの話によると「川鵜」は数羽で飛来し稚魚を根こそぎ食べて川筋に糞害をもたらすとの事なので困ったものです。鯉に餌をやる人の姿も多く見かけられ、皆さん今川に自然が戻ったことを喜んでおられました。市建設局や川筋の皆さんの協力で、ここまで蘇った今川の上流です、今後とも現状を維持して行きたいものです。欲を言えば楯原橋から下流の川床が見えない程の濁りが何とかならないものですかね。 |
![]() |
![]() |
![]() |
![]() |
![]() |
![]() |
![]() |
![]() |
| 上右写真 流域の民家のアンテナに2羽の川鵜と電柱には青鷺が小魚を狙っています。民家では川鵜の糞に困っているとのこと事です。 |
![]() |
![]() |
![]() |
![]() |
![]() |
![]() |
![]() |
| ゆさと保育園児が放流した魚を見に来る。 | 2012年撮影と比較するとゴミの量が少なくなっている。 |
![]() |
![]() |
![]() |
| 湯里東で今川筋の下を抜けると川の様相は一変して両岸は鉄矢板になり貯水池形になります。ここから平等橋までの200m程の間はポイ捨てゴミの多いところです。右岸は中層住宅と公園、左岸は道路と住宅で両岸とも約2m程の柵があるのですがゴミをポイ捨てするにはこれを越えて捨てることになるのですが、今川をゴミ捨て場とでも思っているのでしょうか? |
![]() |
![]() |
![]() ![]() |
![]() |
![]() |
![]() |
![]() |
![]() |
![]() |
| 湯里東から両岸には桜が植樹されていて春の今川は桜トンネルになります。南港通りに面した今川の側に桑津今川堤跡の碑があり江戸時代には今川沿いに櫨が植樹されていてその紅葉見物に多くの人が訪れていたとか この桑津今川堤碑から南港通りを越えると阪神高速下に今川改修之碑がある。 中井光次 |
![]() |
![]() |
![]() |
![]() |
![]() |
![]() |
| 上写真左は東住吉区中野町の今川、鳴戸川の分岐点 中/今川。 右/鳴戸川。 今川と鳴戸川に挟まれた中の島では最大幅箇所で0.14mでグランドが2ヶ所、かなりの数の住宅・公園・墓地もあります。 |
![]() |
![]() |
![]() |
![]() |
![]() |
![]() |
![]() |
![]() |
![]() |
![]() |
![]() |
![]() |
![]() |
![]() |
![]() |
![]() |
|---|
![]() |
![]() |
![]() |
![]() |
![]() |
![]() |
![]() |
![]() |
![]() |
![]() |
![]() |
|
| 黒線部分が現在暗渠になっている部分 | 現在の鳴戸川は今川から分かれ再び今川に入る全長1.1㎞の流路 |
![]() |
![]() |
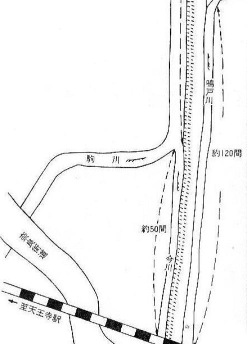
| 平野川と今川の合流地点。上右から上左への流路が平野川。手前が今川、合流地点直前で駒川が今川へ流入する(上中写真)。 | 下右図のD地点の写真、昭和5~10年頃の撮影か?。昭和11年に鳴門川を平野川に合流させる問題で生野・平野両土地区画整理組合間に水争いが置き訴訟問題に持ち込まれた。 |
![]() |
![]() |
![]() |
![]() |
![]() |
| 上の写真は上図赤枠で示された箇所に該当する箇所です。B写真は平野組合が堤防切断して今川・平野川合流地点に鳴門川を流入させた箇所を生野組合が鉄矢板を打ち込み阻止する実力行使に至った時のものと思われます。 |
| 新平野川の開削工事は鶴橋耕地整理組合が大正12年から、隣接する生野土地区画整理組合が昭和元年から、さらに上流では平野土地区画整理組合が設立され各組合で平野川改修工事が行われています。平野川が国鉄関西線(JR大和路線)の北を曲折して北西に流れ、鳴戸川が平野組合中央部の水路を集めて西部区域界を今川に平行して北流しており、平野川・鳴戸川両河川が、連読降雨時に排水状態が悪化するため、平野組合地区内の鳴戸川を生野組合の駒川・今川・平野川の3川合流の新平野川に流入させるべく平野・生野両組合において協議中の昭和10年3月に平野組合が鳴戸川改修工事に着手、同11年5月に平野組合は接続地点の堤防を切断鳴戸川を新平野川に接続。堤防切断については平野組合が生野組合と事前協議するか、若しくは事前連絡する必要があったが、協議に日数を要し工事が中断するため一方的に堤防切断に踏み切った様です。生野組合では抗議するとともに実力行使に出て堤防切開部に鉄矢板を打ち込んだため、平野組合がこれを抜き取る行為に出て、訴訟に持ち込まれ、大阪市の仲介もあり和解条件として、 ① 従来生野土地区画整理組合地区内にあった、今川・駒川合流河川敷を廃川とし平野土地区画整理組合地区に編入してこれを埋立てる。 ② 今川・駒川の流量は国鉄関西線北側で鳴戸川に合流して平野組合地区に入る。このため従来の鳴戸川工事計画を大幅に拡張して平野組合で施行、生野組合地区内の新平野川に連絡する。 ③ 旧今川・駒川河川敷であって埋立て工事を施工して生まれた土地の内、2.000坪を平野組合から生野組合に無償交付する。この換地については減歩・精算並びに組合費は徴収しない。 ④ 土地の交付の時期は廃川敷地埋立工事完了後6ヶ月以内とし、両組合は和解契約の後2ヶ月以内に組合会の決議・地区変更・設計変更の認可申請等の手続きを行う。 ⑤ 両組合に於ける訴訟・仮処分等は和解契約後すべて取下げ、相互に損害賠償・訴訟費用その他一切の金品の請求をしないこと。 以上の5項目の和解条件で昭和13年6月に和解しています。 ※ 平野土地区画整理事業誌より |
| 生野・東成・城東各区の平野川流域の川筋変遷、明治30年大阪市第一次市域拡張が行われ、この新市域の下水道整備計画として、新市域を10地区に分割して、暗渠に雨水・汚水を集めて最寄りの水路に放流というものであった。平野川関連としては玉造・天王寺地区の下水は猫間川に放流するが、市街化に伴い降雨時の下水量が激増して猫間川が氾濫し鶴橋地区の浸水する可能性があり、そこで猫間川の流量の一部を平野川に分流させる事とし、猫間川から平野川に至る分流路を暗渠化することにして、大阪市から当時平野川を所管していた鶴橋耕地整理組合に申し入れをしたが組合は平野川に多量の水を放流すれば、平野川が氾濫して沿岸に多大の損害がでるという理由で反対。その後話し合いが続けられ大正11年に至り、大阪市と鶴橋耕地整理組合共同で平野川改修工事を施行するという条件で合意に達しています。合意事項は猫間川の流量を一部平野川に放流するため、平野川の機能増強工事は大阪市が行う。旧平野川・新平野川(今川合流地点~丸一橋)の工事費は両者で折半するというものでした。 鶴橋耕地整理組合では大池橋~丸一橋まで2㎞余りの新平野川開削工事を(1919)大正8年に既に着工しており(1923)大正12年に完成させています。この新平野川完成に伴う旧平野川の大池橋~丸一橋間2913mの埋立工事は大阪市が単独で施行しています。現在の今川合流地点~大池橋の工事は(1926)大正15年着工、(1935)昭和10年頃完成。丸一橋~寝屋川に至る区間は大阪都市計画として(1928)昭和3年に改修工事立案,(1934)昭和9年から失業救済事業/水害防止事業として着工、(1939)昭和14年に一部350m程を残し完成させています。 一方今川合流地点から上流の改修工事は城東運河(平野川分水路)の開削工事の遅れ、鳴戸川問題、戦時体制突入等で戦後に持ち越されています。 城見橋~平野川分水路分岐点の間は昭和40年当時、既にこの区間は現在と同様の護岸壁が昭和初期に出来ていたが、昭和30年代からの高度成長期の地下水汲み上げなどによる地盤沈下で、護岸壁も高さ不足をきたしていおり、市内の平野川流域では浸水被害の頻発する上流部の改修工事を優先、下流部では城見橋~日吉橋間の750mの改修に着手したが昭和47年7月の20号台風のもたらした洪水により大阪東南部が大被害を受けたのを契機に平野川護岸壁の緊急かさ上げが急務となり府市協力して施行にあたり、下流部は47年着工59年完了しています。 |
![]() |
![]() |
![]() |
![]() |
|---|---|---|
![]() |
![]() |
![]() |
![]() |
![]() |
![]() |
| 駒川も今川同様固有水源の無い川なので長居公園通りに面した東住吉区鷹合で(表題左右の写真) 平野下水処理場の処理水の供給を受けて平時の流路を維持しており降雨時の水量調節池の役割を担っています。平時の水深は15cm程度。 |
|---|
![]() |
![]() |
![]() |
|---|---|---|
![]() |
![]() |
![]() |
| 上左写真、矢板の塗装塗り替えをしている。中写真はゴミ捨て防止の為に安全柵にネットが張られていたが、それでもゴミ(中右)を捨てる不心得者がいる。上の写真の様に折りたたみ自転車まで安全柵を越えて棄てる者もいる。それでも平野川水系の中ではゴミの不法投棄の最も少ないのが駒川。JR大和路線下を過ぎるとSカ-ブして今川に合流する。 |
|---|
![]() |
浸水防除と水運による沿岸発展を目的に昭和3年に計画され、戦前の開削工事は、殆ど沿岸にあたる土地区画整理組合と耕地整理組合によって施行されて総延長6.7㎞の内5.5㎞が土地区画整理組合が残りの区間を大阪市が開削し昭和14年に完成したものの工事に一貫性がなく水路幅等もまちまちで降雨時の排水・水運にも支障をきたすため大阪市では昭和24年から運河の再開削や護岸壁の設置から防災事業として平野川・西の川・千間川の一部水量をこの運河に合流させる工事も行い昭和38年に完成させています。なお昭和27年に従来の城東運河という名称を平野川分水路と改めて現代に至っています。因みに戦前の各組合の開削状況は加美・巽・長瀬・小路の各耕地整理組合、片江・中川・神路・西放出・城東の各土地区画整理組合が各地域に属する運河の開削工事にあたり、昭和9~10年城東組合が天王田橋~千間川までを幅25m。神路組合が幅約18m。小路組合が幅15mで開削。昭和9~13年片江・中川組合幅約18mの溜池状に部分開削。
加美・巽・長瀬組合は昭和2~10年までに幅約18~13mに開削、用水堰を数ヶ所造成した。組合の無い東成区大今里北の町から近鉄大阪線に至る約1000mの区間は物件移転・用地買収等を大阪市において行った上幅7~12mで昭和13~14年に応急開削したところで戦時中断。昭和18年に軍の要請で城東区天王田町(天王田大橋~楠根川)の緊急開削に着手したものの翌19年に中止したまま終戦を迎えています。戦前の開削工事には一貫性がなく溜池的で降雨時の排水や水運にも対応不十分で戦後昭和24年から再改修工事に入り国庫補助事業として幅18.2mに統一昭和38年に完成。だが戦後も平野川流域に於ける水害は毎年のように続き特に昭和47年7月の大雨、9月には台風20号と続き流域に多大の被害を及ぼし、この災害を契機に市内の平野川全域に応急対策として護岸の嵩上げ工事行われます。護岸の嵩上げ、川底堀削、橋梁架け替え等の工事が完了するのが昭和60年代です。
|
|---|
![]() |
![]() |
![]() |
|---|---|---|
![]() |
![]() |
![]() |
![]() |
![]() |
![]() |
|---|
| この川は平野川から分岐していますが上左の写真でご覧いただくように平野川の増水時意外分水路に流入せず、普段は平野下水場の3次処理水の放流が水源になっています。そのため中桑原橋までの数百mが水深15cm程度の流路になっている。この区間のゴミのポイ捨ての多さに驚きます。このゴミの中にカルガモが2羽いました。下中写真の様に中桑原橋付近から水深も深くなり、また感潮区間でもあり満潮時には護岸壁両端のデッパリまで増水し河底のヘドロがここに付着。 |
![]() |
![]() |
![]() |
|---|---|---|
![]() |
![]() |
![]() |
| 上の写真はヘドロで汚れた護岸壁の下部を放水の水圧で洗浄している。下左は巽橋側に立つ平野川分水路改修碑。 |
|---|
![]() |
![]() |
![]() |
|---|---|---|
![]() |
![]() |
![]() |
![]() |
![]() |
![]() |
|---|---|---|
![]() |
![]() |
![]() |
| 上写真、分水路に架かる橋上から見ると住宅地や商店街が川の位置より随分低いのが判る。昭和の高度成長期の地下水汲み揚げでこうなったのだろうか? 分水路開削当時から住宅地より分水路の位置が高かったとは思えない。平野川流域でもこの様な現象を見かけます。 |
|---|
![]() |
平野川分水路と第二寝屋川が十字交差している珍しい景観です。因みに両河川とも人工河川なのでこの様になったもので自然河川では見られない景観です。 |
|---|
| 平野川分水路排水機場(上写真) 平野川分水路は大阪市東部の市街地を流れ流域の排水をも受け持つ川である。近年の著しい経済の発展に伴い流域市街地の地盤沈下が著しく、そのため平野川分水路のや第二寝屋川の疎通能力が低下して度々溢水被害の発生が起きているため、その防止策として護岸壁の嵩上げ河川幅の拡幅等が考えられるが、嵩上げ方式は合流河川の第二寝屋川の水位が高い為護岸壁と各橋梁や取り付け道路の嵩上げも必要になる。 また、川幅を拡幅し流下能力を増す方式は市街地買収の困難を伴うので、排水機場を設け強制排水方式を採用することになり、第二寝屋川と平野川分水路の合流地点に水門を設置、第二寝屋川の水位影響を遮断した上で大容量ポンプで平野川分水路の洪水を強制排水し、水位を低下させ護岸壁の嵩上げと同様の効果を発揮させる方式を採用した。この排水機場は平野川分水路の計画洪水を全量排水する能力を持ち、分水路水位を1.75m低下させる機能を有し、分水路流域の治水に大きな力を発揮しています。 |
|---|
![]() |
![]() |
![]() |
|---|